(Girl Undercut)

Skagit River Journal

of History & Folklore
Subscribers Edition, where 450 of 700 stories originate
The most in-depth, comprehensive site about the Skagit

Covers from British Columbia to Puget Sound. Counties covered: Skagit, Whatcom, Island, San Juan, Snohomish & BC. An evolving history dedicated to committing random acts of historical kindness
Noel V. Bourasaw, editor (bullet) 810 Central Ave., Sedro-Woolley, Washington, 98284
Home of the Tarheel Stomp (bullet) Mortimer Cook slept here & named the town Bug

(Click to send email)
Site founded Sept. 1, 2000. We passed 5 million page views on June 6, 2011
The home pages remain free of any charge. We need donations or subscriptions to continue.
Please pass on this website link to your family, relatives, friends and clients.

A Christmas gift for Sedro
Fairhaven & Southern Railway, 1889;
the route from Bellingham Bay to old Sedro;
and the name behind Fairhaven/Graves Street


(F&S First Day)
      The Fairhaven & Southern Railway chugged into Sedro from Fairhaven with its first passengers on Christmas Eve, 1889, just a few weeks after Washington became a state. The photo is of the launch of the first day 's run, starting in Fairhaven. This was the beginning of Sedro-Woolley as frontier magnet. The boom only lasted 2 years until the Financial Panic of 1893 leveled many boom towns just as dot.com businesses are leveled now. But what a fantastic ride it was. This is F&S Engine #2, manufactured in Schenectady, New York.

By Ray Jordan, 1969, from his book, Yarns of the Skagit Country
Transcribed by Larry Spurling

      The pre-holiday shopping bustle brings thoughts of what could have been the biggest Christmas gift ever delivered to Sedro Woolley, or for that matter the whole county. It was so enormous that even old Santa Claus couldn 't manage it. No Christmas tree short of a gigantic Douglas fir could have supported it. No stockings available were generous enough to hold it.
      On December 24, 1889, eighty years ago (this is being written in 1969), the first passenger train of the Fairhaven and Southern Railway pulled in to the depot at Sedro on the Bank of the Skagit River. At this time there were two settlements here, Sedro and Woolley, each a small cluster of houses. It is reported that Nelson Bennett, the great railroad builder, had been promised a bonus of $50,000 if he completed the line from Bellingham to Sedro by Christmas of 1889, and he brought her in on time and had his Christmas present.
      We haven 't found any detailed newspaper accounts of the great day (only later, brief eyewitness stories) since local papers were scarce at the time, but must have been great joy and excitement when the scant population first heard that long, melodious whistle and clanging bell as this monster, belching smoke, steam and cinders, pulled in and a blue--uniformed, brass-buttoned conductor began helping passengers from the plush-seated coaches.
      What a welcome change, to people who had been here for several years, from traveling by canoe, on foot, by horseback or by wagon over alleged roads, or by steamer which dropped them off only at points along the river.
      An illustration of the travel difficulties of the day is revealed in an excerpt from Mrs. P.A. Woolley 's diary jotted down on her trip west to be reunited with her husband. By various stages, in 1889, including trains and boats, she finally arrived in Seattle.

      Nov. 24. Expect to take boat for Sterling and how I dread the trip. Nov. 25, still here at Seattle, raining as usual. Nov. 25 on the boat Henry Bailey for Sedro. Nov. 26, arrived at Mount Vernon at noon, remain until morning at Washington Hotel. Nov. 27, leave at eight on the stage; my first ride on a stage in my life and I never could imagine such roads; arrived in Sedro at noon.
      We sometimes think that development is slow, so it is difficult to visualize that the first plat in Sedro was filed only 80 years ago, and that only four months later, the first passenger-carrying railroad in the country was unloading immigrants there. We have gotten quite a bit done in a short time, after all.
      An interesting footnote concerning this first railroad into Sedro was found in an old clipping about an old settler, Mrs. Eva Van Fleet Beebe, who had a sneak-preview ride, so to speak.

      "My father and I were two people to ride on the construction train of the Fairhaven and Southern Railway when they completed their line into Sedro. This was in 1889. We met the train about halfway between Sedro and Woolley and rode down on it as the track was laid. The flat car in front held the ties, the next one he rails and the next one the enthusiastic boosters with the engine farther back. Everyone was in a happy mood and the track was laid in a hurry. "Along in the afternoon, the terminus was reached. This was near [Mortimer] Cook 's store in old Sedro. I remember men on the train talking about how valuable those lots were. One man said he had just bought a lot for $500 and considered he had a bargain.
      We think it will take a long time for the interest in trains to die. We have seen adults, in this sophisticated age, elbowing the kids out so they could play with the offspring 's new Christmas rolling stock. Also, there are many die-hard railroad buffs who preserve everything possible concerning trains and devour the somewhat surprising number of expensive books written on the subject.
      Over Snoqualmie Falls way there is a club or association that has its own line, locomotive, cars and all, which the members keep in repair and running order. They even do their own gandy-dancing, and if that doesn 't call for dedication, we don 't know what does. End of story about Sedro and Woolley 's nicest and most practical Christmas present.



(Drawing of old Sedro depot)
      This drawing of the Fairhaven & Southern depot in old Sedro is the only illustration we have from this perspective, looking east from McDonald avenue, the only business block in old Sedro. In other Sedro stories linked below, you can see the perspective looking north from Cook 's wharf. The depot was described in various contemporary articles as being the most modern and attractive in the state at the time. The drawing was published in the Washington Magazine August 1890 issue, which you can see in the University of Washington Library archives..

Fairhaven & Southern, the Vanished Railroad

By Ray Jordan, 1974, from his book, Yarns of the Skagit Country
Transcribed by Larry Spurling

(Charles X. Larrabee)
Charles X. Larrabee in Fairhaven. Larrabee paid most of the bills for the F&S and invested in the coal mines near Sedro, which he eventually named Cokedale after buying Bennett 's interest. He later sold both the rail line and the mines to James J. Hill of the Great Northern. Photo courtesy of Washington West of the Cascades, Hunt & Kaylor, 1917.

      Coal had been very important in the economy of Fairhaven and Sehome in Whatcom County, and C.X. Larrabee of Fairhaven had coal holdings in Skagit County. He was also president o the Fairhaven and Southern Railway Company newly organized in 1888.
      What was more natural than starting a line out of Fairhaven to tap the Skagit coal fields and other resources in the vicinity, drive on through Cascade Pass and also build a line from Sedro Woolley to Seattle to beat two other lines which were building from Seattle north, for this was the day of the railroad giants and they were all striving to get everywhere first.
      He succeeded admirably in winning the race to Sedro Woolley and the Cokedale coal deposits, but was outflanked by other companies in his further ambitions. In 1889, Nelson Bennett, a railroad builder and one of the incorporators of the new Fairhaven and Southern, started his construction crew out of Fairhaven (South Bellingham) with J.J. Donovan as engineer in charge of construction operations.
      The new railroad (first in Skagit County, other than logging lines) passed up Padden Creek, through Chuckanut Valley, passed on the east of Lake Samish, then through Alger on its sourtherly course, down Friday Creek, crossed to the east side of Friday Creek just south of the present Samish State Fish Hatchery, swung around the hill and headed easterly along the north edge of Jarman Prairie to the east end of the Prairie where it bridged the Samish River (one original piling was still standing in 1967).
      It then took a southeasterly course around the base of Granny 's Hill finally straightening out into one long southeast tangent over what is now known as the F&S Grade Road, through the present Skagit Corporation property, angled through Sedro Woolley to a point where it formed a wye at approximately where Jameson, Railroad and Fairhaven (now called Graves) streets intersect.
      The stem of the wye extended due south down Fairhaven Street, which is one block east and parallel to Township Street, to Cook 's Wharf (Mortimer Cook) on the Skagit River. There was a considerable steamboat means of transportation until the railroads came.
      The old railroad grade can still be traced through town and along the West Side of the city garbage dump to the river. And I almost forgot to mention that the first railroad depot stood on Fairhaven near east and west MacDonald Street not far from the river. The northeast fork of the wye left Sedro over what is now Railroad Street, passed the former Oasis Tavern, over the roadbed now occupied by the old paved Lyman Road to a point called Cokedale Junction about three miles northeast of Sedro Woolley where it swung northwesterly up into a low bench to a point approximately one mile northeast of the Northern State Hospital, then followed a southeasterly course to the Cokedale Mine.
      H.L. Devin, a Sedro Woolley pioneer, said that the first Fairhaven and Southern train pulled into Sedro Woolley on December 24, 1889, and he should have known He was there. One last stretch of the old line, with steel intact and still doing duty, can still be seen extending from Borseth Street through the Skagit Corporation grounds to Ferry Street in Sedro Woolley.


Endnotes 1. Fairhaven-Graves Street, old Sedro
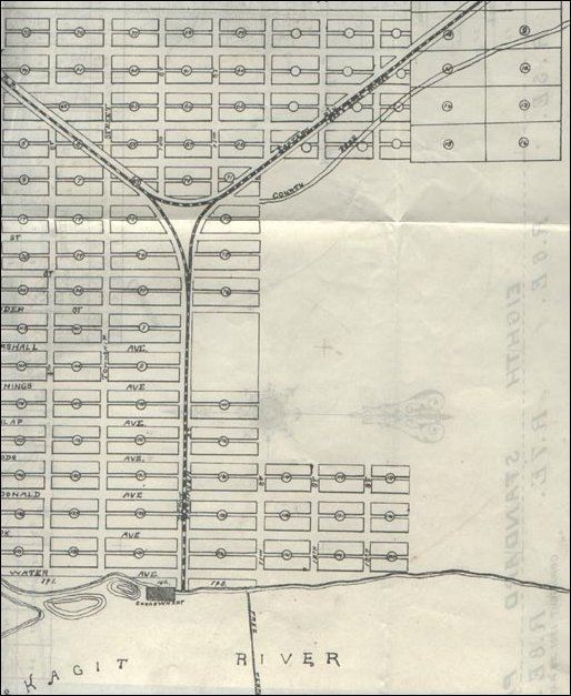
(Old Sedro Map)
Albert G. Mosier 's 1891 map of old Sedro

      We think we know for whom the street is named, but we will address that below. First of all, you can find the street on Albert G. Mosier 's 1891 map but you will not find it on the ground, except in one place. You may recall that, up until the spring of 2008, when you drove north out of the Riverfront RV Park driveway, you used to see, in front of you to the right, a gigantic hedge of brambles and undergrowth that stretched up the bluff to the east of the Parkview Alzheimer Center. That was once the right of way for the Fairhaven & Southern. It terminated near the northern shore of the Skagit River and Mortimer Cook 's old store and sternwheeler wharf. The depot was located just north of the present log building north of the barbecue pits. The ROW was completely trimmed in 2008, but you can see where the railbed came through on a strip about 100 feet wide.
      The west-east parking space just north of the city-park proper and the barbecue pits was once MacDonald Avenue, the main drag of old Sedro. And the north-south driveway by which you enter the park is the approximate route of Graves Street, originally located between 10th and 11th streets. Once the tracks were ripped up in 1937, there was no need for a frontage road along those tracks. In those days, the area that stretched out east past 10th Street was still farmland (part of the original William Woods homestead) south of Railroad Street, which was once the route of the eastern leg of the "wye" of the F&S that proceeded northeast to Cokedale Junction and then to the old town of Cokedale and the mines.
      When we first wrote this story, the namesake of Graves Street was still up in the air. We had two candidates.

(Edward O. Graves)
Edward O. Graves

      One ws Merritt Graves, who staked a timber claim alongside Thunder Creek, on Section 20, Township 36N, Range 5E, near Prairie, on Oct. 31, 1896. Joe Hoyt later owned that land east of his mill and home. Five years before that, Merritt Graves was elected treasurer of the newly incorporated town of Hamilton on March 1891. He does not, however, appear in the 1892 Census roll, nor does he appear in any of the earlier Territorial census lists for the county. Our trail grows cold for him and we hope a reader from that family can help us trace him.
      Our second candidate was more likely and proved to be the correct choice. Edward Oziel Graves, better known as E.O. Graves, was born on August 3, 1843, in the little town of Russia, Herkimer County, New York. His father was Solomon Graves and they descended from the proud old family of John Graves, who was born in England and 1605 and emigrated to Concord, Massachusetts in 1635. Graves gained fame in national political and banking circles and he is one of the fathers of the bank that is now known as Washington Mutual.
      After he graduated in 1864 from Hobart College in Geneva, NY, he rose quickly through the ranks of the U.S. Secretary of the Treasury F.E. Spinner, who was formerly a deputy sheriff in Herkimer County under Graves 's grandfather, John Graves. Edward was promoted in 1868 to chief clerk and subsequently was made chief examiner in 1873 when the civil service examinations were inaugurated. In 1877 he became a member of the commission appointed to re-organize the bureau of engraving and printing. In 1883 he was appointed assistant treasurer of the United States and July 1, 1885, was made chief of the bureau of engraving and printing, supervising 1,200 employees. He decided to leave government work in the spring of 1889 and came to Seattle to invest in Washington in the year of statehood. As Clarence Bagley wrote in Volume Two of his 1929 History of King County,

      It was in the memorable year of 1889, spoken of always as "the year of the fire," that Manson Franklin Backus came to Seattle. He was at that time 36. It was in the latter part of April and from room in the old Occidental hotel as he looked out that first morning, the rising sun shining on a full-blossomed orchard and the song of birds made his first happy impression of Seattle.
      The next day, he and Edward O. Graves, with whom he was touring cities of the west, looking for a good location where they intend to open a bank, went out to visit Seattle. They liked it right away. It was not a rich city but it was cordial, it was enthusiastic and people treated them royally. "This," exclaimed the two friends, "is our location." In a short time the new bank was organized, stock subscribed and officers elected.
      They returned east to get their families and burn their business bridges behind them and while they were gone, Seattle burned to the ground. They halted in their preparations, and then the messages gbegan to arrive from seattle. "Come just the same. the fire is a blessing in disguise. Come."

    Any time, any amount, please help build our travel and research fund for what promises to be a very busy 2011, traveling to mine resources from California to Washington and maybe beyond. Depth of research determined by the level of aid from readers. Because of our recent illness, our research fund is completely bare. See many examples of how you can aid our project and help us continue for another ten years. And subscriptions to our optional Subscribers Online Magazine (launched 2000) by donation too. Thank you.


(Plumeria)
We recently visited our newest sponsor, Plumeria Bay, which is based in Birdsview, just a short walk away from the Royal family's famous Stumpranch, and is your source for the finest down bedding. See our Journal feature on this local business and learn more details and how to order items at their website.

      Graves did indeed come at once and in 1890 he became the founding president of Washington National Bank, on Second Avenue between James and Cherry streets. The bank's affiliated Washington National Building Loan and Investment Association marked the birth of Washington Mutual. The bank and association converted to a mutual in 1917.
      Graves remained in that position until March 1890 and he traveled in the Rainier Club and the same Seattle circles as the officers of the Sedro Townsite Company and E.F. Blaine, who represented Nelson Bennett 's Fairhaven Land Co. while marketing old-Sedro town lots. In 1900, Graves became a member of the firm of Graves & Purdy, Bankers, of Bellingham, although he had effectively retired from business and spent most of his time traveling. In 1868, he married Clara E. Gale, the daughter of Dr. Leonard D. Gale, of Washington, D. C., who assisted Professor Morse in the invention of the telegraph.
      Graves died Feb. 9, 1909. His legacy to Seattle was extensive, after serving as a regent for the University of Washington, organizing expeditions to the Klondike gold rush and securing federal backing for Fort Lawton, the Lake Washington Ship Canal and the Puget Sound Shipyard. His physical legacy is the Beaux Arts, neoclassical E.O. Graves warehouse building, which still stands at 1022 First Avenue, near Pioneer Square. The building was designed by Seattle architect James Blackwell and erected just south of another building built by Backus at the time when the neighboring tide-flats around present SoDo were being filled
      You can read a more extensive biography of E.O. Graves in this 1903 collection of Seattle biographies, courtesy of Jenny Tenlen. Merritt Graves and E.O. Graves may have been related somewhere in their family tree. We will also refer to Graves' Seattle life and his beautiful neighborhood when we review and amplify on our friend Junius Rochester's fine book, The Last Electric Trolley: Madrona and Denny-Blaine Seattle, Washington Neighborhoods (Tommie Press: Seattle, 2003). By the way, Junius' namesake ancestor was once partner in a Seattle law firm with James Bard Metcalfe, in the mid-1880s, right before Metcalfe became the namesake for the main drag in P.A. Woolley's new town, north of Sedro.[Return]


Links, background reading and sources
Links to other related Issue 44 stories:
Other links

Story originally posted on May 28, 2005, extensively updated July 28, 2008, moved to this domain on Jan. 16, 2012.
Please report any broken links so we can update them
This article originally appeared in Issue 44 of our Subscribers-paid Journal online magazine




Getting lost trying to navigate
or find stories on our site?
Read how to sort through our 700-plus stories.

See this Journal Timeline website of local, state, national, international events for years of the pioneer period.
Return to the new-domain home page
Links for portals to subjects and towns
Newest photo features
Search entire site
Our monthly column, Puget Sound Mail (but don't call it a blog)
debuted on Aug. 9, 2009. Check it out.
(bullet) Remember; we welcome correction & criticism.
(bullet) Please report any broken links or files that do not open and we will send you the correct link. With more than 700 features, we depend on your report. Thank you. And do not give up if you find a link that seems to be closed. Just put the subject in the search box below. The story may have been moved to our new domain. Or just ask us and we will guide you to it.
(bullet) Did you enjoy this story? Remember, as with all our features, this story is a draft and will evolve as we discover more information and photos. This process continues until we eventually compile a book about Northwest history. Can you help with copies or scans of documents or photos? We never ask for your originals.
(bullet) Read about how you can order CDs that include our photo features from the first ten years of our Subscribers-paid online magazine. Perfect for gifts. Although it was delayed by our illness, it is due for completion in 2012.

You can click the donation button to contribute to the rising costs of this site. See many examples of how you can aid our project and help us continue for another ten years. You can also subscribe to our optional Subscribers-Paid Journal magazine online, which celebrated its tenth anniversary in September 2010, with exclusive stories, in-depth research and photos that are shared with our subscribers first. You can go here to read the preview edition to see examples of our in-depth research or read how and why to subscribe.

You can read the history websites about our prime sponsors
Would you like information about how to join them in advertising?

(bullet) Our newest sponsor, Plumeria Bay, is based in Birdsview, just a short walk away from the Royal family's famous Stumpranch, and is your source for the finest down comforters, pillows, featherbeds andduvet covers and bed linens. Order directly from their website and learn more about this intriguing local business.
(bullet) Oliver-Hammer Clothes Shop at 817 Metcalf Street in downtown Sedro-Woolley, 90 years continually in business.
(bullet) Peace and quiet at the Alpine RV Park, just north of Marblemount on Hwy 20, day, week or month, perfect for hunting or fishing. Park your RV or pitch a tent — for as little as $5 per night — by the Skagit River, just a short drive from Winthrop or Sedro-Woolley. Alpine is doubling in capacity for RVs and camping in 2011.
(bullet) Check out Sedro-Woolley First section for links to all stories and reasons to shop here first
or make this your destination on your visit or vacation.
(bullet) Are you looking to buy or sell a historic property, business or residence?
We may be able to assist. Email us for details.

Looking for something special on our site? Enter name, town or subject, then press "Find" Search this site powered by FreeFind
    Did you find what you were seeking? We have helped many people find individual names or places, so email if you have any difficulty.
    Tip: Put quotation marks around a specific name or item of two words or more, and then experiment with different combinations of the words without quote marks. We are currently researching some of the names most recently searched for — check the list here. Maybe you have searched for one of them?
Please sign our guestbook so our readers will know where you found out about us, or share something you know about the Skagit River or your memories or those of your family. Share your reactions or suggestions or comment on our Journal. Thank you for taking time out of your busy day to visit our site.

View My Guestbook
Sign My Guestbook
Email us at: skagitriverjournal@gmail.com
(Click to send email)
Mail copies/documents to Street address: Skagit River Journal, 810 Central Ave., Sedro-Woolley, WA, 98284.